Filtrowanie pytań
Wykonywanie pomiarów sytuacyj…
A. wcięć kątowych, liniowych i kątowo-liniowych.
B. ortogonalną (domiarów prostokątnych).
C. skaningu laserowego.
D. biegunowej.
Wykonywanie prac geodezyjnych…
Przy użyciu metody graficznej nie jesteśmy w stanie ustalić danych do tyczenia z
A. szkiców polowych
B. odbitki mapy do celów projektowych
C. wydruku mapy numerycznej
D. mapy analogowej
Wykonywanie pomiarów sytuacyj…
Wartość azymutu A2-3 obliczona na podstawie danych zawartych na szkicu wynosi

A. A2-3 = 301,0502g
B. A2-3 = 290,6030g
C. A2-3 = 101,0502g
D. A2-3 = 90,6030g
Wykonywanie prac geodezyjnych…
Jakiego dokumentu nie przygotowuje się w obecności uczestników podczas rozgraniczania nieruchomości?
A. Szkicu granicznego
B. Wykazu zmian danych ewidencyjnych
C. Protokołu granicznego
D. Aktu ugody
Wykonywanie prac geodezyjnych…
Którego z poniższych dokumentów nie ma potrzeby dołączać do wniosku o podział działki?
A. Wypisu z ewidencji gruntów.
B. Odpisu z rejestru wieczystego.
C. Zgód sąsiadów na podział
D. Kopii planu katastralnego.
Wykonywanie pomiarów sytuacyj…
Podczas aktualizacji mapy zasadniczej w czasie pomiarów szczegółowych terenu sporządza się szkic
A. inwentaryzacyjny
B. polowy
C. przeglądowy
D. dokumentacyjny
Wykonywanie pomiarów sytuacyj…
Które z przedstawionych na rysunku punktów są punktami głównymi łuku kołowego, będącego elementem trasy drogowej?

A. P, H, K
B. W, H, O
C. P, S, K
D. S, H, O
Wykonywanie prac geodezyjnych…
Nieprzekraczalna data doręczenia właścicielom działek przedstawionego zawiadomienia, o czynnościach podjętych w celu ustalenia przebiegu granic działek ewidencyjnych, upływa
| ZAWIADOMIENIE O czynnościach podjętych w celu ustalenia przebiegu granic działek ewidencyjnych |
| Na podstawie §38 ust. 1 rozporządzenia Ministra Rozwoju Regionalnego i Budownictwa z dnia 27 lipca 2021 r. w sprawie ewidencji gruntów i budynków (Dz. U. z 2021 r. poz. 1390 z poz.zm.) oraz zgłoszenia pracy geodezyjnej w Powiatowym Ośrodku Dokumentacji Geodezyjnej i Kartograficznej w Bielsku-Białej pod nr 6640.12.2022 z dnia 02.01.2022 r. uprzejmie zawiadamiam, że w dniu 17.03.2023 r. o godzinie 9.00 odbędzie się ustalenie przebiegu granic działki ewidencyjnej nr 103 z działkami 100, 101 i 102. Rozpoczęcie czynności będzie miało miejsce obok budynku mieszkalnego nr 122 na działce ewidencyjnej nr 103. Nieusprawiedliwione niestawiennictwo nie wstrzymuje czynności ustalenia przebiegu granic. |
A. 17.02.2023 r.
B. 09.02.2023 r.
C. 09.03.2023 r.
D. 02.03.2023 r.
Wykonywanie prac geodezyjnych…
Wykonano kalibrację cyfrowego obrazu rastrowego mapy analogowej w skali 1:1000. Na podstawie otrzymanych średnich błędów transformacji oraz fragmentu rozporządzenia określ, która kalibracja wykonana jest z prawidłową dokładnością.
| § 49 Kalibracja rastrów map analogowych 1. Kalibrację rastrów map analogowych wykonuje się przy wykorzystaniu co najmniej 20 punktów [...] dostosowania z zachowaniem dokładności transformacji wyrażonej błędem średnim transformacji nie większym niż: 0,20 m – w przypadku mapy w skali 1:500; 0,40 m – w przypadku mapy w skali 1:1000; 0,80 m – w przypadku mapy w skali 1:2000; 2,00 m – w przypadku mapy w skali 1:5000. |
A. 0,37 m
B. 1,00 m
C. 0,76 m
D. 0,42 m
Wykonywanie prac geodezyjnych…
Jakie wielkości są mierzone w sieci trygonometrycznej wykorzystywanej do określania bezwzględnych przemieszczeń poziomych obiektu?
A. Miary czołowe
B. Kąty poziome
C. Kąty pionowe
D. Przewyższenia
Wykonywanie prac geodezyjnych…
Wyznaczanie wysokościowe punktów polega na oznaczaniu ich wskaźnikami
A. położenia sytuacyjnego punktów na tyczonych elementach budowli w odniesieniu do wysokościowej osnowy realizacyjnej
B. wysokości punktów na tyczonych elementach budowli w odniesieniu do poziomej osnowy realizacyjnej
C. wysokości punktów na tyczonych elementach budowli w odniesieniu do wysokościowej osnowy realizacyjnej
D. położenia sytuacyjnego punktów na tyczonych elementach budowli w odniesieniu do poziomej osnowy realizacyjnej
Wykonywanie prac geodezyjnych…
Wyznacz wysokość punktu środkowego niwelety trasy o długości 400 m, mając wysokość punktu początkowego H = 100,00 m oraz nachylenie i = -1%.
A. 101,00 m
B. 99,00 m
C. 102,00 m
D. 98,00 m
Wykonywanie prac geodezyjnych…
Na podstawie informacji zawartych w tabeli wskaż numer uczestnika scalenia, któremu bez jego zgody zostały prawidłowo wydzielone grunty po scaleniu.
| Uczestnik scalenia gruntów | Powierzchnia gruntów objętych scaleniem [ha] | Powierzchnia wydzielonych gruntów [ha] | Różnica powierzchni wydzielonych gruntów w stosunku do powierzchni gruntów objętych scaleniem [%] |
|---|---|---|---|
| 1 | 1,8980 | 1,4456 | 24 |
| 2 | 2,4562 | 3,0056 | 22 |
| 3 | 2,1340 | 2,8737 | 35 |
| 4 | 3,6602 | 3,3467 | 9 |
A. 1
B. 3
C. 4
D. 2
Wykonywanie prac geodezyjnych…
Kto może uzyskać dostęp do ksiąg wieczystych?
A. jedynie właściciel danej nieruchomości
B. jedynie rzeczoznawca majątkowy
C. każda osoba zainteresowana
D. jedynie pełnomocnik posiadacza nieruchomości
Wykonywanie prac geodezyjnych…
Które odczyty otrzymywane są podczas pomiarów wychylenia osi komina w metodzie przedstawionej na rysunku?

A. Kątów poziomych.
B. Przewyższeń.
C. Wartości przymiaru liniowego.
D. Kierunków pionowych.
Wykonywanie prac geodezyjnych…
W sytuacji, gdy na etapie wytyczania granic nieruchomości geodeta nie zdołał osiągnąć porozumienia i konflikt nie został rozwiązany, postępowanie będzie prowadzone w trybie cywilnym, w którym o ustaleniu granicy decyduje
A. prokurator
B. burmistrz
C. sąd
D. starosta
Wykonywanie prac geodezyjnych…
Szkic, na którym geodeta przenosi z geodezyjnego opracowania projekt obiektu budowlanego wszystkie elementy potrzebne do jego realizacji w terenie, określany jest jako szkic
A. tyczenia
B. polowym
C. dokumentacyjnym
D. realizacyjnym
Wykonywanie prac geodezyjnych…
Na przedstawionym fragmencie mapy do celów projektowych symbolem KD oznaczono tereny

A. dróg wewnętrznych.
B. komunikacji wodnej (szlaki wodne).
C. dróg publicznych.
D. zabudowy mieszkaniowej wielorodzinnej.
Wykonywanie pomiarów sytuacyj…
Na rysunku przedstawiono

A. kątowe wcięcie wstecz.
B. wcięcie liniowe.
C. wcięcie kombinowane.
D. kątowe wcięcie w przód.
Wykonywanie prac geodezyjnych…
Jakie oznaczenie na mapie ewidencyjnej przypisano do budynku jednorodzinnego z dwiema kondygnacjami oraz użytkowym poddaszem?
A. mj
B. mj2,5
C. mj2
D. mj3
Wykonywanie pomiarów sytuacyj…
Kontrolę tyczenia, polegającą na weryfikacji długości boków oraz przekątnych pojedynczych prostokątów, kwadratów lub ich zestawień, wykonuje się w trakcie prac niwelacyjnych
A. siatkową
B. punktów rozproszonych
C. tras
D. profili
Wykonywanie pomiarów sytuacyj…
Jaką długość ma odcinek na mapie o skali 1:40 000, jeśli na mapie w skali 1:20 000 jego długość wynosi 50 cm?
A. 2,5 cm
B. 25 cm
C. 5 cm
D. 50 cm
Wykonywanie prac geodezyjnych…
Operat ewidencyjny jest aktualizowany niezwłocznie po otrzymaniu przez starostę dokumentów wskazujących na zmiany w danych ewidencyjnych, jednak nie później niż w ciągu
A. 7 dni
B. 30 dni
C. 3 dni
D. 14 dni
Wykonywanie pomiarów sytuacyj…
Która z metod nie jest przeznaczona do realizacji geodezyjnych sytuacyjnych pomiarów w terenie?
A. Domiarów prostokątnych
B. Biegunowa
C. Wcięć kątowych
D. Punktów rozproszonych
Wykonywanie pomiarów sytuacyj…
Wizury pomiędzy sąsiednimi punktami geodezyjnej osnowy poziomej powinny być przeprowadzone w trakcie
A. niwelacji punktów osnowy
B. sporządzania opisu topograficznego
C. wywiadu terenowego
D. pomiarów rzeźby terenu
Wykonywanie pomiarów sytuacyj…
Na rysunku przedstawiono wyświetlacz niwelatora

A. laserowego.
B. rotacyjnego.
C. optycznego.
D. kodowego.
Wykonywanie prac geodezyjnych…
Gdy w księdze wieczystej oznaczenia oraz powierzchnia nieruchomości przeznaczonej do podziału różnią się od danych zawartych w katastrze nieruchomości, konieczne jest przygotowanie
A. wykazu synchronizacyjnego
B. aktu ugody
C. rejestru gruntów
D. zestawienia gruntów
Wykonywanie prac geodezyjnych…
Aby stworzyć wykres odkształcenia, należy uwzględnić wyniki pomiarów
A. tych samych miejsc w tym samym dniu
B. rozmaitych miejsc w tym samym dniu
C. rozmaitych miejsc w różnym czasie
D. tych samych miejsc w różnym czasie
Wykonywanie pomiarów sytuacyj…
Jak nazywa się wskazana strzałką część znaku osnowy geodezyjnej?

A. Głowica.
B. Fundament.
C. Mimośród.
D. Podcentr.
Wykonywanie prac geodezyjnych…
Kontrola wysokości reperów fundamentu oraz trzonu budynków wieżowych wykonuje się za pomocą metody niwelacji
A. barometrycznej
B. satelitarnej
C. geometrycznej
D. hydrostatycznej
Wykonywanie prac geodezyjnych…
Ile wynosi wysokość włazu studzienki kanalizacyjnej na przedstawionym fragmencie mapy zasadniczej?

A. 176,01 m
B. 173,30 m
C. 176,13 m
D. 174,73 m
Wykonywanie prac geodezyjnych…
Przedstawiony na rysunku fragment szkicu dokumentacyjnego dotyczy

A. przyczółka mostowego.
B. łuku drogowego.
C. skrzyżowania kolejowego.
D. rozjazdu kolejowego.
Wykonywanie prac geodezyjnych…
Który tytuł należy nadać zamieszczonej mapie, sporządzonej do celów prawnych?

A. Mapa do ustalenia służebności przegonu.
B. Mapa do ustalenia służebności przejazdu.
C. Mapa do ustalenia służebności przechodu.
D. Mapa do ustalenia służebności przesyłu.
Wykonywanie prac geodezyjnych…
Jakim atrybutem jest oznaczona klasa bonitacyjna w zbiorze danych dotyczących ewidencji gruntów oraz budynków?
A. OZU
B. OFU
C. OUG
D. OZK
Wykonywanie prac geodezyjnych…
Jakie jest maksimum błędu lokalizacji punktu osnowy realizacyjnej mP, jeśli średnie błędy jego współrzędnych X oraz Y wynoszą: mX = 4 mm, mY = 3 mm?
A. mP = 3 mm
B. mP = 5 mm
C. mP = 15 mm
D. mP = 2 mm
Wykonywanie prac geodezyjnych…
Użytkowanie wieczyste gruntu Skarbu Państwa przyznawane jest na czas
A. co najmniej 39 lat
B. 99 lat
C. minimum 99 lat
D. 39 lat
Wykonywanie prac geodezyjnych…
Protokół dotyczący wyznaczenia i utrwalenia nowych granicznych punktów musi zawierać
A. spis nowych punktów załamania granicy
B. metodę utrwalenia punktów granicznych
C. współrzędne oraz wysokości punktów granicznych
D. opisy topograficzne nowych punktów granicznych
Wykonywanie pomiarów sytuacyj…
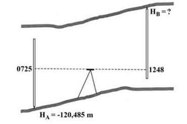
Wyznacz wysokość punktu 10, jeśli wysokość punktu RpA wynosi HRpA = 125,500 m. Odczyt na łacie tylniej to t = 1500, a z przodu p = 0500.
A. H10 = 123,500 m
B. H10 = 142,500 m
C. H10 = 124,500 m
D. H10 = 126,500 m
Wykonywanie pomiarów sytuacyj…
Wskaż na podstawie rysunku wartość odczytu z łaty, którą należy wpisać w dzienniku niwelacyjnym.

A. 1208
B. 1332
C. 1282
D. 1360
Wykonywanie prac geodezyjnych…
Mapa wykorzystywana w celach prawnych nie obejmuje
A. elementów uzbrojenia terenu
B. granic działek
C. budynków
D. rejonów statystycznych